Multifamily
Overview

Update


Asset type
Multifamily

Our strategy
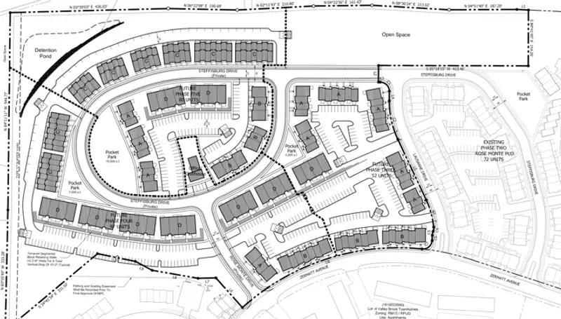
Opportunistic
Acquire and (re)develop properties, often from the ground up
- Expected variability of return: Very High
- Timing of expected return: Often two years or more to begin seeing returns
- Primary expected source of returns: Growth

This section is intended to provide a general overview of the Opportunistic strategy for educational purposes only, and is not meant to be representative of the specific details of any individual investment. All investments involve risk; there are no guarantees of any returns.