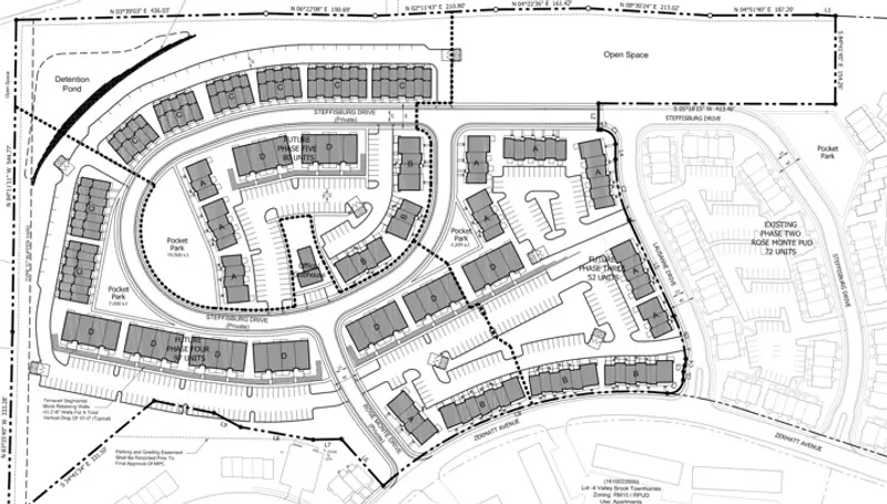
We’ve acquired a 13-acre property in Nashville, Tennessee for approximately $4.6 million, alongside a stabilized 52-unit rental townhome community, with plans to build a major expansion of the community on the site.
The property is already zoned for the construction of 177 new rental townhomes. This substantially reduces our risk as the plans have already gone through discretionary hearings, a time-consuming process that can take years to complete. In order to break ground, the property simply needs engineering and plan approvals from local officials.
Over the next two years, we plan to secure the remaining approvals, engage a contractor, and build out the expansion, bringing the total size of the finished community to roughly 225 units.
For more information about the strategy and business plan behind this investment, click here.
As always, if you have any questions or feedback, please visit our help center or reach out to us at investments@fundrise.com.

